― カフェオレ大好きの私がホッと一息つく Cafe Time・・・そんな日々の独り言を綴った日記です ―
(写真作品等はメインサイトの方からお入り下さい)
2月28日から三泊四日で沖縄&福岡旅行に行ってきました♪
沖縄は数回行っているので 今回は行ったことが無い南部と東部を中心に・・・
それと 沖縄の海水水槽ショップでサンゴをGETするのが目的でした♪
サンゴたちは無事にGET出来、 今日札幌の我が家にお迎えしたのですが
その話は後日ということで (もったいぶってごめんなさい)
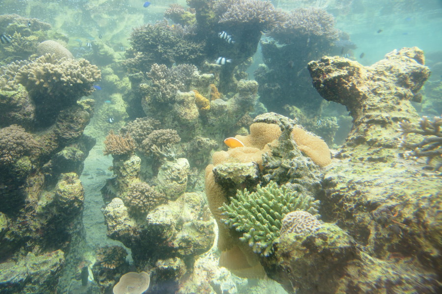
今日は 沖縄の読谷村にある『サンゴ畑』という施設を見てきたのでそのお話を♪
『てぃだかんかん』という映画の舞台となり、主人公の金城さんを演じたのが
ナイティナインの岡村隆史さん。
世界初 サンゴ礁再生の奇跡に向かって夢を追いかけた感動の実話です。
今も金城さんは サンゴ礁再生の為に海のすぐそばにある「サンゴ畑」という養殖場で
沢山のサンゴたちを株分けして成長をさせ、海に植えつけるという時間のかかるお仕事をしていらっしゃいます。


大小の養殖場の他に こんなかわいい丸いガラスに入ったものまでありました♪



最後の右の写真は私と旦那様が映り込んでますね(笑)

サメが悠々と泳いでいたり・・・

こんな子がウヨウヨと泳いでいます(笑)


ソフトコーラルやLPSなども沢山あるそうなんですが 東京のスカイツリーにある水族館に
ソフトコーラルなどを展示するために ごっそりと移動中とか・・・

スタッフの皆さんは そのための作業で大忙しなんだそうです。
さて 大きな方の水槽では 養殖用に株分けしたサンゴたちが沢山ありました。



大きな池には 階段で下の方に行って覗き込んで見れるガラスの窓がありました。
ここからの写真は そこから撮影したものです。



そして 池の上から撮影した写真




最後の写真 手前に大きなカニが居るのが判りますか?(笑)
甲羅がグリーン 足がオレンジと黒の模様入りです!
写真は全てクリックしていただけると大きく表示されます。
かなり枚数をアップしちゃってすみません<(_ _)>
さて・・・
こちらでは サンゴ移植に協力出来るシステムがあります。
『海の種』というもので 一株3500円から協力出来て
株分けして養殖したサンゴが 移植可能な大きさになったら
協力してくれた人のネームプレートを付けて海に移植されます。
そして ネームプレートを付け、移植されたサンゴの写真と共に感謝状が贈られてきます。
私も自宅の海水水槽で 美しいサンゴたちと魚たちに癒してもらっている一人として
こちらで協力させて頂きました。
移植には半年から1年くらいかかるという事ですけど 元気に大きくなった養殖サンゴが
海の中で更に元気に育ってくれることを夢見ています(*^_^*)
『サンゴ畑』のURL → http://www.sangobatake.jp/
『海の種』のURL → http://www.seaseed.com/
興味のある方はどうぞ♪
長々と書いてしまいましたが 今回のメインイベントの一つである『サンゴ畑』のお話でした♪
沖縄は数回行っているので 今回は行ったことが無い南部と東部を中心に・・・
それと 沖縄の海水水槽ショップでサンゴをGETするのが目的でした♪
サンゴたちは無事にGET出来、 今日札幌の我が家にお迎えしたのですが
その話は後日ということで (もったいぶってごめんなさい)
今日は 沖縄の読谷村にある『サンゴ畑』という施設を見てきたのでそのお話を♪
『てぃだかんかん』という映画の舞台となり、主人公の金城さんを演じたのが
ナイティナインの岡村隆史さん。
世界初 サンゴ礁再生の奇跡に向かって夢を追いかけた感動の実話です。
今も金城さんは サンゴ礁再生の為に海のすぐそばにある「サンゴ畑」という養殖場で
沢山のサンゴたちを株分けして成長をさせ、海に植えつけるという時間のかかるお仕事をしていらっしゃいます。
大小の養殖場の他に こんなかわいい丸いガラスに入ったものまでありました♪
最後の右の写真は私と旦那様が映り込んでますね(笑)
サメが悠々と泳いでいたり・・・
こんな子がウヨウヨと泳いでいます(笑)
ソフトコーラルやLPSなども沢山あるそうなんですが 東京のスカイツリーにある水族館に
ソフトコーラルなどを展示するために ごっそりと移動中とか・・・
スタッフの皆さんは そのための作業で大忙しなんだそうです。
さて 大きな方の水槽では 養殖用に株分けしたサンゴたちが沢山ありました。
大きな池には 階段で下の方に行って覗き込んで見れるガラスの窓がありました。
ここからの写真は そこから撮影したものです。
そして 池の上から撮影した写真
最後の写真 手前に大きなカニが居るのが判りますか?(笑)
甲羅がグリーン 足がオレンジと黒の模様入りです!
写真は全てクリックしていただけると大きく表示されます。
かなり枚数をアップしちゃってすみません<(_ _)>
さて・・・
こちらでは サンゴ移植に協力出来るシステムがあります。
『海の種』というもので 一株3500円から協力出来て
株分けして養殖したサンゴが 移植可能な大きさになったら
協力してくれた人のネームプレートを付けて海に移植されます。
そして ネームプレートを付け、移植されたサンゴの写真と共に感謝状が贈られてきます。
私も自宅の海水水槽で 美しいサンゴたちと魚たちに癒してもらっている一人として
こちらで協力させて頂きました。
移植には半年から1年くらいかかるという事ですけど 元気に大きくなった養殖サンゴが
海の中で更に元気に育ってくれることを夢見ています(*^_^*)
『サンゴ畑』のURL → http://www.sangobatake.jp/
『海の種』のURL → http://www.seaseed.com/
興味のある方はどうぞ♪
長々と書いてしまいましたが 今回のメインイベントの一つである『サンゴ畑』のお話でした♪
PR
Comment
コメントの修正にはpasswordが必要です。任意の英数字を入力して下さい。
無題
サンゴ村いいですね。
おいらもまた沖縄にいけるようなら行きたい場所です。
前回の沖縄旅行はアクティブに動きすぎて疲れちゃったので、
次回行くならまったりだね~と話しています。
養殖サンゴのフォローみたいなやつは以前やったことがあります♪
流されていなくて無事に成長していれば、おいらのプレートが
付いているサンゴがあるはずです。
こういう活動に参加できるのはいいですよね。
おいらもまた沖縄にいけるようなら行きたい場所です。
前回の沖縄旅行はアクティブに動きすぎて疲れちゃったので、
次回行くならまったりだね~と話しています。
養殖サンゴのフォローみたいなやつは以前やったことがあります♪
流されていなくて無事に成長していれば、おいらのプレートが
付いているサンゴがあるはずです。
こういう活動に参加できるのはいいですよね。
>パインテールさん
2年前に次男の結婚式を沖縄でやった時、泊まったホテルからすぐ近くにあったのに
結局行けずじまいだったんです。
やっと夢が叶いました(*^_^*)
自然の太陽の恵みだけで立派に育っているサンゴたちは凄いなって思いましたよ。
って・・本来は当たり前の事なんだけどね(笑)
こうやって直に見ることが出来て改めて大切にしたい海の恵みだと思いました♪
結局行けずじまいだったんです。
やっと夢が叶いました(*^_^*)
自然の太陽の恵みだけで立派に育っているサンゴたちは凄いなって思いましたよ。
って・・本来は当たり前の事なんだけどね(笑)
こうやって直に見ることが出来て改めて大切にしたい海の恵みだと思いました♪
>といさん
沖縄も3度目4度目となると 今まで行ったことが無い所に行きたくなるもんですね(笑)
ここは本当にお勧めの場所です!お譲さんも楽しめる場所だと思いますよ(*^_^*)
シーズンになると色んな体験コースみたいなのもあるようですしね。
是非行ってらしてください!!
私も遅ればせながら『海の種』に参加させてもらいました♪
私のネームプレートが付いたサンゴが海に戻るのを楽しみにしています(^ー^)v
ここは本当にお勧めの場所です!お譲さんも楽しめる場所だと思いますよ(*^_^*)
シーズンになると色んな体験コースみたいなのもあるようですしね。
是非行ってらしてください!!
私も遅ればせながら『海の種』に参加させてもらいました♪
私のネームプレートが付いたサンゴが海に戻るのを楽しみにしています(^ー^)v
アクセス数
Profile
HN:
Nonnko
年齢:
68
性別:
女性
誕生日:
1957/08/17
趣味:
写真・ゴルフ・海水水槽
自己紹介:
札幌在住で写真を趣味にしている主婦です。
趣味が高じて たまにお仕事をさせてもらっています。
こちらのブログでは写真以外のことを主としてUPしています。
よろしくお願いします♪
趣味が高じて たまにお仕事をさせてもらっています。
こちらのブログでは写真以外のことを主としてUPしています。
よろしくお願いします♪
カレンダー
| 12 | 2026/01 | 02 |
| S | M | T | W | T | F | S |
|---|---|---|---|---|---|---|
| 1 | 2 | 3 | ||||
| 4 | 5 | 6 | 7 | 8 | 9 | 10 |
| 11 | 12 | 13 | 14 | 15 | 16 | 17 |
| 18 | 19 | 20 | 21 | 22 | 23 | 24 |
| 25 | 26 | 27 | 28 | 29 | 30 | 31 |
カテゴリー
最新記事
最新コメント
[09/10 Nonnko]
[09/10 Nonnko]
[09/10 たらふく]
[09/10 パインテール]
[09/07 Nonnko]
[08/27 Nonnko]
[08/26 たらふく]
[08/22 たらふく]
[08/13 Nonnko]
[08/12 とい]
海水魚関係LINK
ブログ内検索